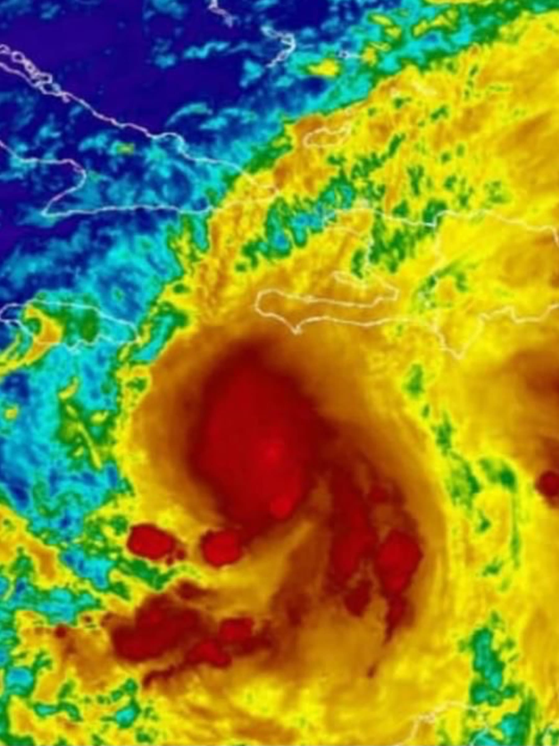
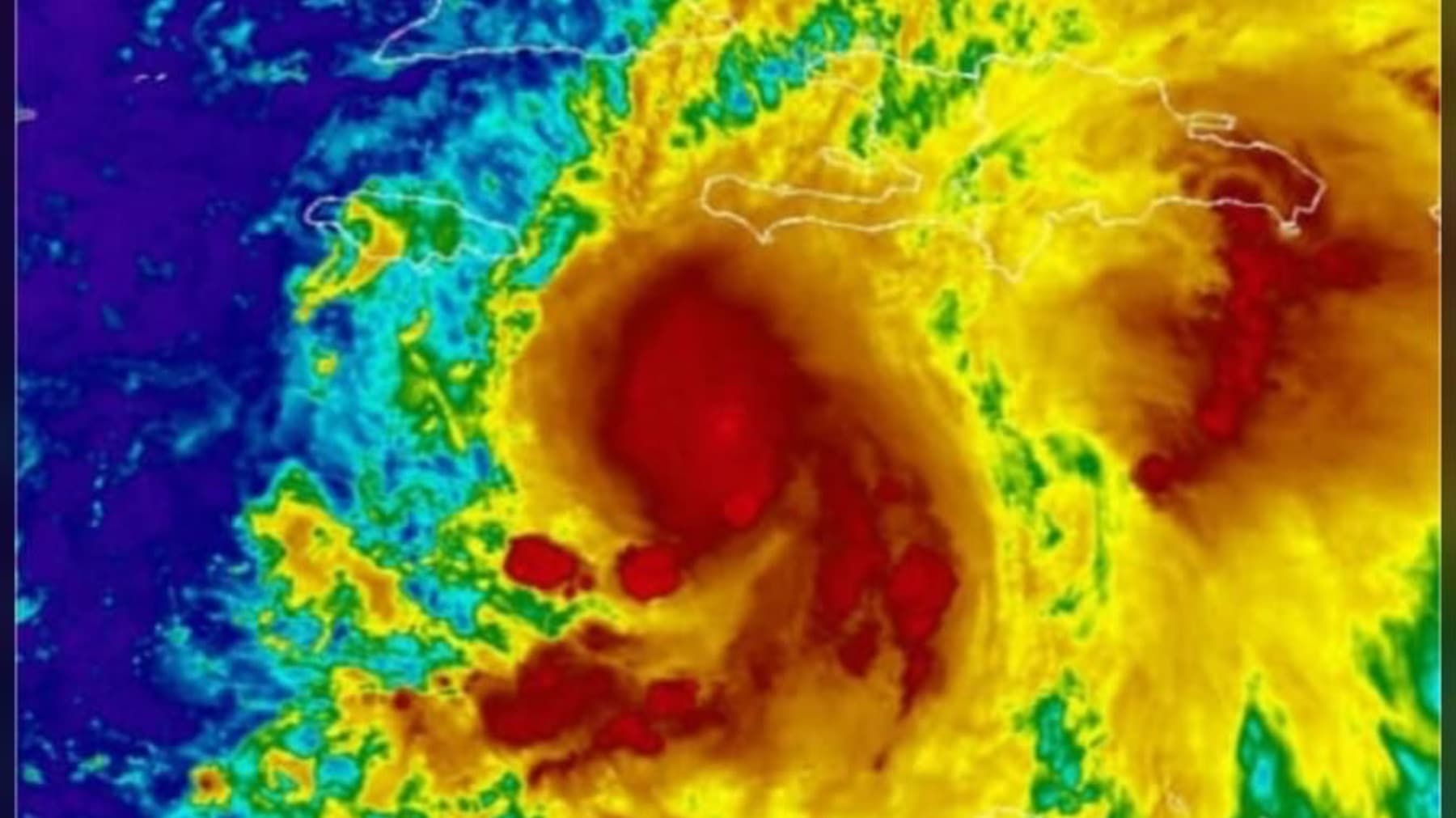
jamaica is about to be hit with a level 5 hurricane. my good friend nikki and her family live right where the hurricane is supposed to hit. she needs all the support she can get right now.

jamaica is about to be hit with a level 5 hurricane. my good friend nikki and her family live right where the hurricane is supposed to hit. she needs all the support she can get right now.

Be the first to donate and pin
your name here 📌

Beatrix Haas is the organizer of this fundraiser

Fundraising for
jamaica is about to be hit with a level 5 hurricane. my good friend nikki and her family live right where the hurricane is supposed to hit. she needs all the support she can get right now.

Beatrix Haas is the organizer of this fundraiser
Join the thousands like you finding help on *spotfund.
